Denúncia Pública de ocupação ilegal de terreno pela junta de freguesia de Liceia
O Clube de Caça, Pesca e Columbofilia de Liceia é o principal beneficiário dessa ocupação.
Nos últimos anos, a Junta de Freguesia de Liceia, através do seu presidente Joaquim Neves Martinho, tem repetidamente tentado ocupar parte de um terreno que me pertence.
Estas ações intensificaram-se depois de, numa parcela anteriormente vendida para a construção da escola primária, ter sido instalada a sede do Clube de Caça, Pesca e Columbofilia de Liceia.
Entre as tentativas já realizadas pela Junta contam-se:
Para justificar estas ocupações chegou a ser exibido um desenho alegadamente da Câmara Municipal de Montemor-o-Velho, que acabou por ser desmentido pela própria Câmara. Mais tarde surgiu também a referência a um “marco” inexistente, acompanhada da sugestão de que poderiam ser arranjados testemunhos para o justificar.
O principal beneficiário desta situação é o Clube de Caça, Pesca e Columbofilia de Liceia, que:
A repetição de ocupações sem qualquer título válido, incluindo a colocação de estruturas pesadas no local, revela uma estratégia que conduz à desvalorização do terreno, criando condições para uma futura compra em termos mais vantajosos para o clube.
Declaro de forma inequívoca que não existe qualquer interesse em vender o terreno. A propriedade será preservada pela família, e as ocupações e pressões não têm fundamento legal.
Toda a informação aqui publicada é ou será comunicada às seguintes entidades:
O objetivo é garantir a responsabilização dos intervenientes e assegurar a defesa da propriedade privada contra abusos de poder e ocupações ilegítimas.
Fotografias das ocupações

Após construída a sede começaram a ocupar o espaço com plantas tendo sido pedido para serem retiradas.
Na lateral do lado dos caçadores não foi colocada qualquer planta.

A mesa de pedra foi colocada junto ao sobreiro, pesando centenas de quilos. O objetivo parecia ser criar um facto consumado: não tendo o proprietário meios para a retirar, a estrutura acabaria por permanecer, consolidando a ocupação. Só foi removida após forte contestação, com recurso a trator.
Apesar de a Junta de Freguesia alegar que o espaço lhe pertence, quem efetivamente usufrui destas intervenções é o Clube de Caça, Pesca e Columbofilia de Liceia, que utiliza o terreno como zona de convívio e refeições à sombra do sobreiro. Ou seja, a Junta serve apenas como justificação formal, enquanto o benefício real é privado e dirigido à associação.

Junho/Julho de 2025
Com brita e lancil
Avançou um bom bocado em relação à ocupação anterior passando a envolver todo o tronco do sobreiro.
Isto demonstra uma clara intenção de apropriação. O impacto não está no investimento, mas no efeito simbólico e prático: marcar o terreno como se fosse pertença da junta de freguesia/associação, alterando o seu uso e aparência sem qualquer direito e sem autorização do proprietário.
Fotografias do google Earth

Antes da construção da sede dos caçadores não existe qualquer expansão da zona da fonte.

26 de Maio de 2025
Em 2025 sem brita
A última ocupação foi feita em data posterior a esta fotografia.
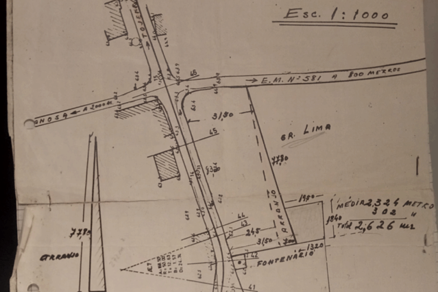
Que documentos existem?
Levantamento Topográfico

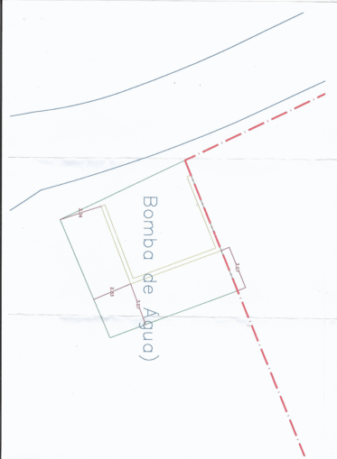
Documento enviado pela junta de freguesia


Apesar de basearem a legalidade da ocupação neste documento até o arquivo da câmara nega a origem do documento.
